
國立海洋生物博物館今天宣布,該館今年於4月26日及本月6日,收容的兩隻2隻幼年綠蠵龜,體內都發現有魚鉤。海生館表示,誤食魚鉤的海龜外觀完全看不出異狀,但海龜可能因魚鉤及魚線的拉扯造成消化道的傷害,嚴重時會導致海龜死亡。
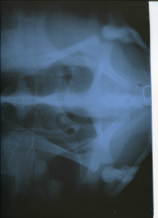
海生館表示,本月6日收容的綠蠵龜,經獸醫師初步觀察,外觀沒有明顯外傷,但略顯虛弱,經X光檢查,在消化道內發現魚鉤,目前正在海生館收容中心觀察中。
此外,4月份收容一隻來自台東的綠蠵龜,是由海巡署東部地區巡防局81岸巡大隊,通報海生館及台東縣政府。海巡人員表示,該海龜被發現時,嘴邊可看到魚線。經台東縣政府人員將海龜送去進行X光檢查,將結果轉知海生館獸醫師,獸醫師判定確實有魚鉤卡在食道,須立即取出。
台東縣府人員親自將海龜送至海生館,並於當日進行手術,取出魚鉤。
海生館提醒,民眾若發現不明原因擱淺的海龜,或誤補海龜,都可以撥打海巡署報案專線118,海巡署會在第一時間前往處理,並通知海生館處理後續相關救援及收容。













